啤酒开饵水库爽钓鲤鱼

昨天早晨,朋友来电话,告知水库那边安排好了,立即起身驱车前往。早晨8:30出发,九点到水库,立即着手,最先坐在一块石头上。用杆:刚做15尺、细流峰14尺、凛刀迅19尺天气:晴,高温18度,西北风4、5级线:主1.0子0.5钩0.3

昨天早晨,朋友来电话,告知水库那边安排好了,立即起身驱车前往。早晨8:30出发,九点到水库,立即着手,最先坐在一块石头上。

用杆:刚做15尺、细流峰14尺、凛刀迅19尺

天气:晴,高温18度,西北风4、5级

线:主1.0子0.5钩0.3

饵:啤酒泡的颗粒1份+混养饵1份+少许拉丝粉+水1份

第一个钓点水深大约3米左右,半小时没开口,白漂子都没有,立即换地方,第二个钓点水深约1米,随手撒了几把颗粒,第二杆直接截杀黑漂,中小草一尾,不足2斤放生,而后约五分钟,浮漂稳稳下顿两目,提杆中鲤鱼一尾,2斤左右,不超三个回合就拿回来了,感觉刚做的杆子还行,回鱼够快,但要是再大点的鱼就够呛了。而后风开始大了起来,不光看不清漂,抛竿都抛不进去了,无奈再换地方,这次把前段时间买的假日钓台也一并开光。

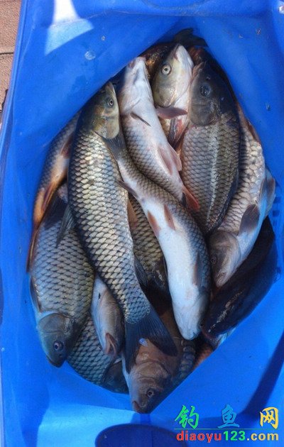
到了第三个钓点开始换杆,时间已经过了12点了,先用的是棒子的细流峰14尺,还是1.0主0.5子0.3钩漂是酷鱼的凯空心尾底钓专用,水深不足1米,抛了也就是五六杆后,疯狂开始了,连中三条2+鲤鱼后,一个沉稳的顿口,提杆,不动,以为是挂底了,再一用力,鱼向外一窜,秒切,气死我了,换子线再来,黑漂,提杆再切,这次两个钩子都给带跑了,什么鱼都没看见,奶奶的,换子线再来,这次换的0.8子线0.5新关东钩子,抛的第二杆,悲剧发生了,顿口提杆,杆子一弯而后直接起来了,空了。定睛一看,主线断了,妈呀,在看水里浮漂又上来一下,然后斜斜的就沉下去,被鱼拉走了啊,都没来及反应,我的漂啊,350大元啊.化悲痛为力量,果断换杆,这次该给迅19开光了,不敢大意,直接上主1.5子0.8钩0.5关东,接下来就是一个令人疲惫的提杆、抄鱼、抛竿的过程了,到3:40结束,渔获总数量62尾,其中有3两以上鲫鱼九尾,其余全是2左右及以上鲤鱼和草鱼,最大的5左右,放生10+不足斤的鲤、草。

总结:虽然钓鱼将近十年了,但是用并继却是自今年开始第一次,说不出什么对钓竿太大的感受,体会了小钩细线博大鱼的乐趣,也品尝了断线跑鱼漂拖走苦果,总结下来还是休闲得宜,拼抢难以胜任,钓慢鱼悠闲自得,钓快鱼手忙脚乱,钓小鱼心神怡然,钓大鱼丢漂断线。小鱼是指5以下的,以上的感觉挺费力,反正这次我是没能拿上来,可能是我太笨了,这一天下来,浑身酸疼,到现在手腕子还麻酥酥的。

为TA充电
共{{data.count}}人
人已赞赏
渔获

黑坑鱼塘激战三小时大草大鲤排成队

2020-9-24 16:18:16

渔获

垂钓卧龙水库人品爆发擒大草钓大鲤斩大鲫

2020-9-24 16:18:44

0 条回复 A文章作者 M管理员
    暂无讨论,说说你的看法吧
个人中心
今日签到
有新私信 私信列表
搜索